首页 > >
赛山梅:湖北大别山国家级自然保护区
媒体:原创 作者:云山龙
专业号:云山龙
2023-03-05 12:15:12

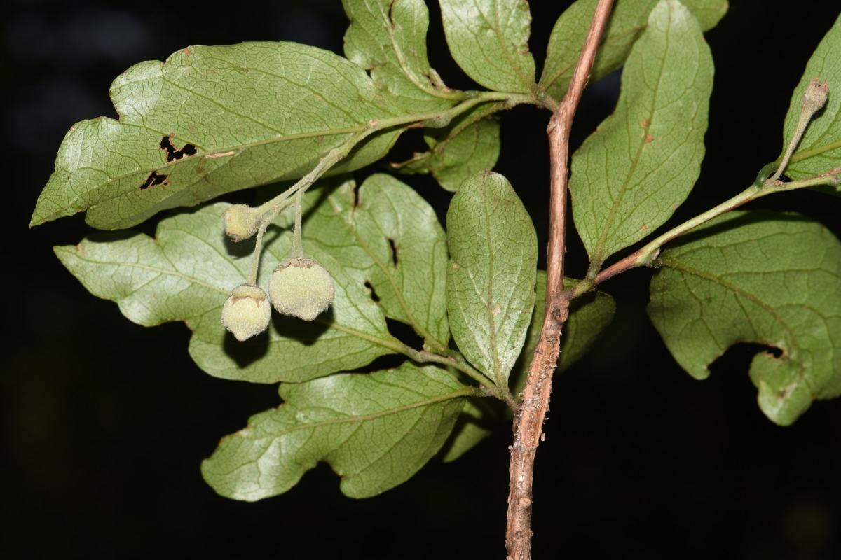
种名(中):
赛山梅
学名(拉丁):
Styrax confusus
科:
安息香科
属:
安息香属
省份:
湖北省
保护地:
湖北大别山国家级自然保护区
摄影地点:
吴家山
拍摄时间:
2022-07-12
拍摄者:
甄爱国
鉴定者:
甄爱国
阅读
181
| 版权声明: 1.依据《服务条款》,本网页发布的原创作品,版权归发布者(即注册用户)所有;本网页发布的转载作品,由发布者按照互联网精神进行分享,遵守相关法律法规,无商业获利行为,无版权纠纷。 2.本网页是第三方信息存储空间,阿酷公司是网络服务提供者,服务对象为注册用户。该项服务免费,阿酷公司不向注册用户收取任何费用。 名称:阿酷(北京)科技发展有限公司 联系人:李女士,QQ468780427 网络地址:www.arkoo.com 3.本网页参与各方的所有行为,完全遵守《信息网络传播权保护条例》。如有侵权行为,请权利人通知阿酷公司,阿酷公司将根据本条例第二十二条规定删除侵权作品。 |
m.quanpro.cn