首页 > >
结香跟拍:中南林业科技大学20221103
媒体:原创 作者:刘一凡
专业号:刘一凡
2022-11-03 18:18:17

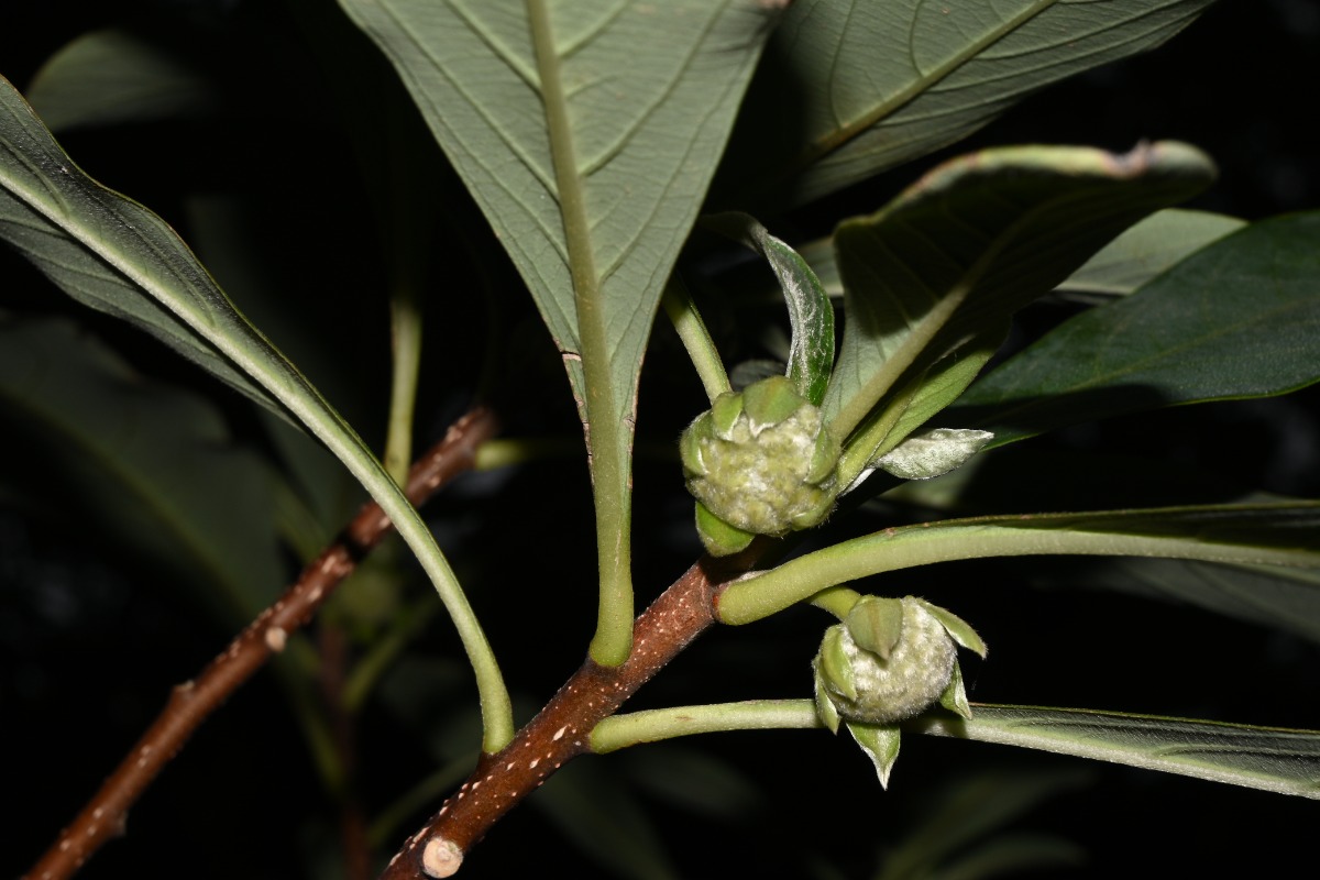
种名(中):
结香
学名(拉丁):
Edgeworthia chrysantha
科:
瑞香科
属:
结香属
省份:
湖南省
专类园:
中南林业科技大学
摄影地点:
湖南省长沙市天心区韶山南路498号中南林业科技大学
拍摄时间:
2022-11-03
拍摄者:
刘一凡
鉴定者:
刘一凡
阅读
242
| 版权声明: 1.依据《服务条款》,本网页发布的原创作品,版权归发布者(即注册用户)所有;本网页发布的转载作品,由发布者按照互联网精神进行分享,遵守相关法律法规,无商业获利行为,无版权纠纷。 2.本网页是第三方信息存储空间,阿酷公司是网络服务提供者,服务对象为注册用户。该项服务免费,阿酷公司不向注册用户收取任何费用。 名称:阿酷(北京)科技发展有限公司 联系人:李女士,QQ468780427 网络地址:www.arkoo.com 3.本网页参与各方的所有行为,完全遵守《信息网络传播权保护条例》。如有侵权行为,请权利人通知阿酷公司,阿酷公司将根据本条例第二十二条规定删除侵权作品。 |
m.quanpro.cn